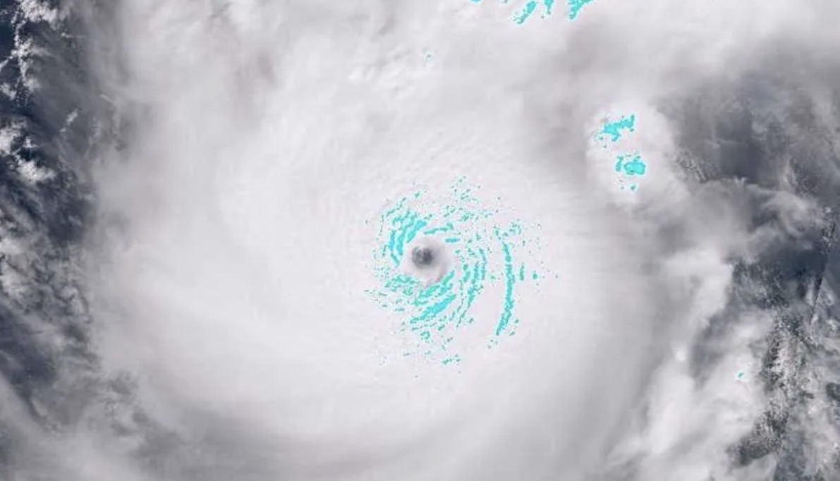
أغلقت فيتنام المطارات وأجلت آلاف الأشخاص في المناطق التي يحتمل أن تتأثر بالإعصار بوالوي الذي زادت قوته بينما يتجه للبلاد، وذلك بعد أيام من تسببه في مقتل 10 على الأقل وفيضانات واسعة النطاق في الفلبين.
وذكرت وكالة الأرصاد الجوية الفيتنامية أن من المتوقع وصول الإعصار، الذي بلغت سرعة رياحه 133 كيلومترا في الساعة 02:00 بتوقيت غرينتش، إلى اليابسة في وسط فيتنام في وقت متأخر من اليوم الأحد، أي قبل الوقت المتوقع من قبل نظرا لسرعة تحركه.
وقالت الحكومة إن السلطات في إقليم ها تنه بوسط البلاد بدأت في إجلاء أكثر من 15 ألف شخص، مضيفة أن آلاف الجنود على أهبة الاستعداد.
وقالت هيئة الطيران المدني الفيتنامية إنه تم تعليق العمليات في 4 مطارات ساحلية اعتبارا من اليوم الأحد، بما في ذلك مطار دانانغ الدولي، وعدلت مواعيد إقلاع عدد من الرحلات الجوية.
وأوضحت الحكومة أن الأمطار الغزيرة تسببت بالفعل في حدوث فيضانات في هيو وكوانغ تري.



اضف تعليق